JPM Hits Target $105 & Hurricane Ian
Fed Meeting November 2nd should usher in Negative Carry
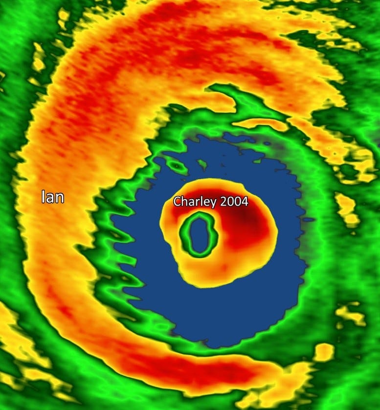
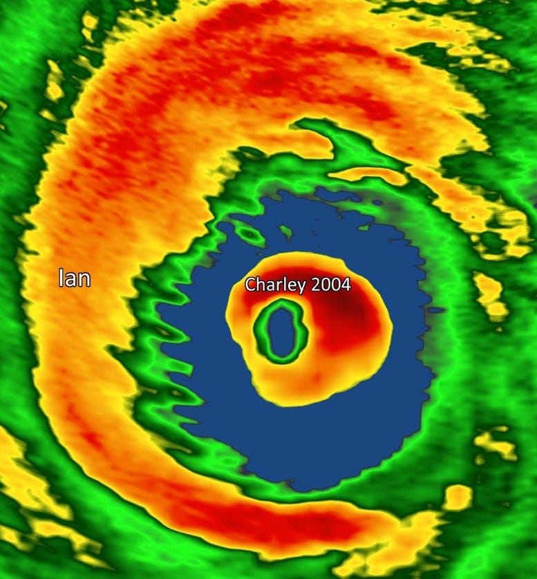
Before we get into the note, we just want to give our best wishes to our fellow Florida residents, this was a massive hurricane and one that will go down in Florida’s history! We are new here so we didn’t know what to expect, however, given the mandatory Zone A-C evacuation, we knew it was serious enough to seek higher ground inland, which we luckily did. For all those families affected our thoughts and prayers are with them. As we drove back up 75 yesterday we could see medical personnel and national guard on their way down, truly a sad state of affairs down here at this point. Just to show you how powerful Hurricane Ian was, it was about 2 mph shy of a Cat 5 and the last one to make landfall near Ft Myers/ Port Charlotte area was Hurricane Charley in 2004. Here is the comparison of the two, The whole of Charley could fit within the eye of Ian!
Ok getting into today’s note, in our subscriber note from March this year (https://econemotions.substack.com/publish/post/75796292 -March 2022), we noted JPM sliding right out of the gates for 2022 and we decided to look for the likely stopping point for longer term buy and holders.



